Ga naar inhoud

Te koop: bouwgrond Droogsestraat ong 6581 KH Malden

Beschikbaar

Bezichtiging plannen

€ 325.000,- k.k.

Een kans uit duizenden ! Waar koopt u nog een bouwkavel van 452 m2 met tevens de mogelijkheid tot koop van 2 naast elkaar gelegen bouwkavels van in totaal 935 m2 (te weten 483 en 452 m2) om samen met een partner beiden uw eigen twee onder 1 kap droomhuis te realiseren ?

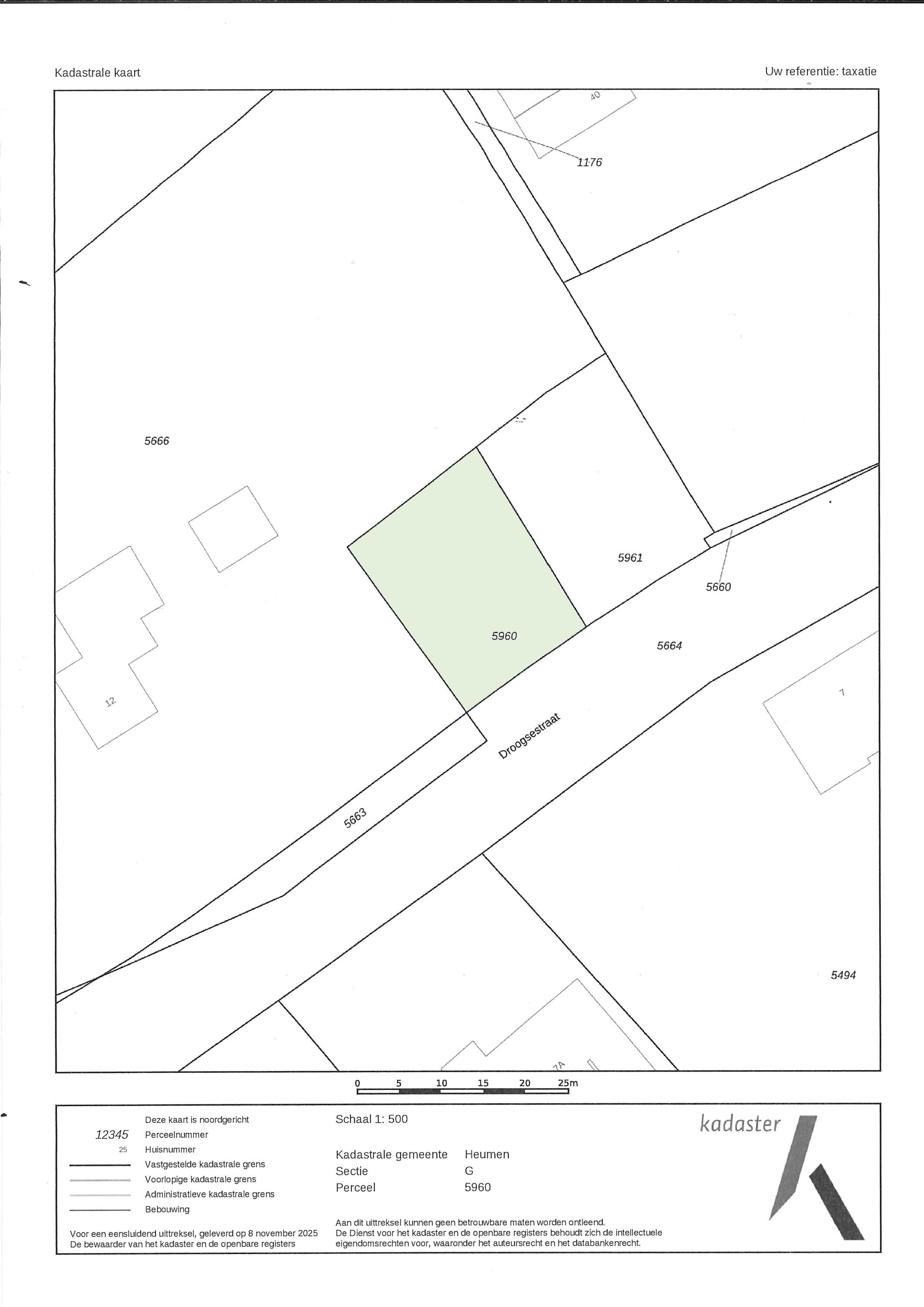
De bouwkavels zijn gelegen aan de Droogsestraat ter linkerzijde van nummer 8 en hebben een totale grootte van 935 m2.

De percelen zijn zeer gunstig gelegen. Zeer geschikt voor de liefhebber van vrij wonen en zelf bouwen.

Er is overeenkomstig het geldende bestemmingsplan toestemming voor de bouw van 2 woonhuizen naast elkaar van het type twee onder één kap. De koper heeft binnen de door de Gemeente Heumen gestelde grenzen de mogelijkheid tot de uitvoering van zijn eigen bouwplan.

De percelen zijn binnen de bebouwde kom van Malden aan de rand van de bestaande bebouwing gelegen, op korte afstand van alle scholen, winkels sport faciliteiten, recreatiegebieden, ziekenhuizen en Nijmegen-stad en toch woont u vrij.

De snelfietsroute Cuijk-Nijmegen is letterlijk om de hoek gelegen, waardoor er een ideale verbinding met Nijmegen en met Cuijk ontstaat. Op wandelafstand bevinden zich prachtige bossen en natuurgebieden zoals het Heumensoord en de Elshof.

Malden biedt gunstig gelegen openbaar vervoer (bushalte en treinstation op loopafstand) en bovendien uitstekende verbindingen naar onder meer Nijmegen en Venlo. Binnen enkele minuten is er met de auto aansluiting op de A73.

De indicatieprijs van € 325.000,= per perceel is kosten koper, dus u betaalt naast de koopsom ook de overdrachtsbelasting (10.4 %) en de notariskosten.

  • 452 m2

Kenmerken Droogsestraat ong

Overdracht

Vraagprijs€ 325.000,- k.k.
AanvaardingIn overleg

Oppervlaktes en inhoud

Perceel oppervlakte452 m2
Inhoud0 m3

Bouw

BouwvormNiet van toepassing

Indeling

Aantal verdiepingen0

Maandlasten

Ligging Droogsestraat ong

Voorzieningen

Centraal gelegen informatie over de buurt

Aantal inwoners

In de gemeente

16.475

Vergelijkbaar woningaanbod